包装迷
登陆 / 注册 搜索

USERCENTER

SEARCHSITE

搜索

查看: 3218|回复: 7

[包装标准相关] 求标签检验标准

[复制链接]

签到天数: 5

该用户今日未签到

35

回帖

10

声望

38

共享银

包装大夫

Rank: 14Rank: 14Rank: 14Rank: 14Rank: 14Rank: 14

积分
177
发表于 2017-5-16 16:03:23 | 显示全部楼层 |阅读模式
求标签检验标准一份
谢谢!
包装迷,www.packme.cn--为包装工程师和包装工程专业及包装从业者提供专业的技术讨论平台!(如需添加个性签名请到个人资料里面修改)

签到天数: 1

该用户今日未签到

50

回帖

10

声望

52

共享银

包装官大夫

Rank: 20Rank: 20Rank: 20Rank: 20

积分
396
发表于 2017-5-18 12:15:14 | 显示全部楼层
我记着以前公司,测试标签有橡皮测试,酒精测试,
包装迷,www.packme.cn--为包装工程师和包装工程专业及包装从业者提供专业的技术讨论平台!(如需添加个性签名请到个人资料里面修改)

该用户从未签到

6

回帖

10

声望

1

共享银

包装大夫

Rank: 14Rank: 14Rank: 14Rank: 14Rank: 14Rank: 14

积分
115
QQ
发表于 2017-5-18 12:58:12 | 显示全部楼层
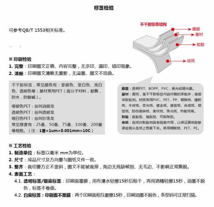
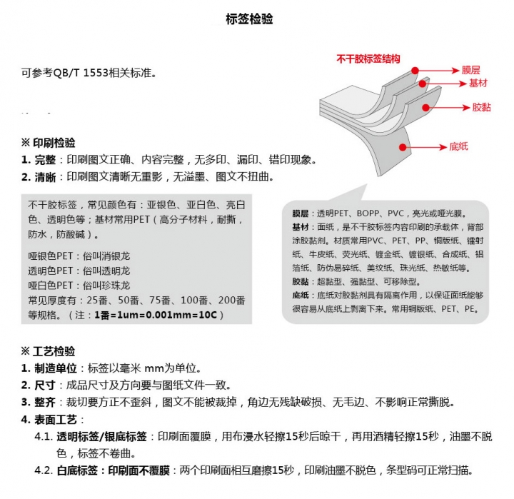
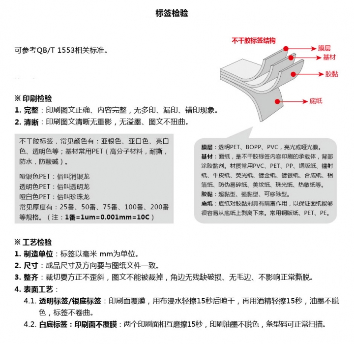
标签检验标准参考
标签检验.jpg
包装迷,www.packme.cn--为包装工程师和包装工程专业及包装从业者提供专业的技术讨论平台!(如需添加个性签名请到个人资料里面修改)

签到天数: 5

该用户今日未签到

35

回帖

10

声望

38

共享银

包装大夫

Rank: 14Rank: 14Rank: 14Rank: 14Rank: 14Rank: 14

积分
177
 楼主| 发表于 2017-5-19 15:22:21 | 显示全部楼层
JC02235 发表于 2017-5-18 12:15
我记着以前公司,测试标签有橡皮测试,酒精测试,

谢谢回复!
包装迷,www.packme.cn--为包装工程师和包装工程专业及包装从业者提供专业的技术讨论平台!(如需添加个性签名请到个人资料里面修改)

签到天数: 5

该用户今日未签到

35

回帖

10

声望

38

共享银

包装大夫

Rank: 14Rank: 14Rank: 14Rank: 14Rank: 14Rank: 14

积分
177
 楼主| 发表于 2017-5-19 15:54:47 | 显示全部楼层

衷心感谢!
包装迷,www.packme.cn--为包装工程师和包装工程专业及包装从业者提供专业的技术讨论平台!(如需添加个性签名请到个人资料里面修改)

签到天数: 5

该用户今日未签到

35

回帖

10

声望

38

共享银

包装大夫

Rank: 14Rank: 14Rank: 14Rank: 14Rank: 14Rank: 14

积分
177
 楼主| 发表于 2017-5-22 11:40:58 | 显示全部楼层

两个印刷面相互摩擦15秒,用多大的力去摩擦呀?
包装迷,www.packme.cn--为包装工程师和包装工程专业及包装从业者提供专业的技术讨论平台!(如需添加个性签名请到个人资料里面修改)

该用户从未签到

6

回帖

10

声望

1

共享银

包装大夫

Rank: 14Rank: 14Rank: 14Rank: 14Rank: 14Rank: 14

积分
115
QQ
发表于 2017-5-23 10:57:45 | 显示全部楼层
PackLee 发表于 2017-5-22 11:40
两个印刷面相互摩擦15秒,用多大的力去摩擦呀?

18N牛的力,频率每秒擦2次
包装迷,www.packme.cn--为包装工程师和包装工程专业及包装从业者提供专业的技术讨论平台!(如需添加个性签名请到个人资料里面修改)

签到天数: 274

该用户今日未签到

123

回帖

10

声望

0

共享银

包装公乘

Rank: 32Rank: 32Rank: 32Rank: 32

积分
1208
发表于 2017-8-7 10:41:35 | 显示全部楼层
每个公司的检验方法和标准都不一样,不知有没有国际标准?
QQ截图20170807103702.jpg
包装迷,www.packme.cn--为包装工程师和包装工程专业及包装从业者提供专业的技术讨论平台!(如需添加个性签名请到个人资料里面修改)
您需要登录后才可以回帖 登录 | 立即注册!

本版积分规则

QQ|小黑屋|包装迷丨PACKME ( 【浙ICP备13020736号-1】 )

GMT+8, 2025-10-19 09:36

快速回复 返回列表